Toggle navigation
Home
Properties
Sales
Rentals
Commercial properties
Prestige
About us
Services
Contacts
en
it
en
Sites / Plots for Development for sale in Pinerolo
for sale
Sites / Plots for Development
Pinerolo
190,000 €
Previous
Next
Primal Features
Code:
V001786
City:
Pinerolo
Category:
Sites / Plots for Development
Locals:
1
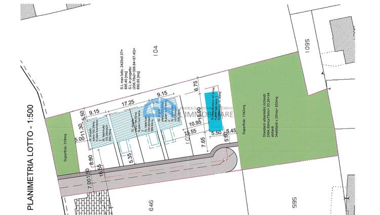
Sqm:
2420
Floor:
Ground floor
Energetic class:
Not applicable
Rank:
Medium
Position:
Suburb
View:
Open View
Index of Buildability:
0,37
Land status:
Free
Accessories
Passing Car
Pedestrian Crossing
Map
via Sabotino - Pinerolo (TO)
Documents
doc06221020251121142031.pdf (335 kb)
Keep default settings X
Use of cookies
This site uses cookies. Our (own) cookies and those of our Partners (third party cookies) are used to offer you a unique experience with us. For this reason, together with our partners, we collect and process non-sensitive information (such as the identifier of your device or the pages you visit).
At any time you can delete, modify or verify the information you share in
Cookie preference
or in our
Cookie Policy
and
Privacy Policy
.
Necessary
Functional
Profiling
Analytics
Accept all
Decline all
Accept selected
Cookie preference